九江九浔(濂投东华·玖筑云庭)
11300元/m²
3室(2) 4室(3)
九江市浔阳区十里大道118-8号,十里大道与长虹大道交汇处(原国棉四厂)
TA来了,TA来了,带着10宗土地挂牌来了。仔细观察这次挂牌的地块要求,会发现以往只会规定容积率的最高值,现在容积率还有低值的要求。并且之前八里湖调整的地块这次也有挂牌。


具体情况如下
▼▼▼
地块名称:八里湖大道东侧、祥和路南侧地块
地块位置:八里湖大道东侧、祥和路南侧
地块面积:31.175亩
土地用途:商业、城镇住宅用地(商业建筑面积所占比例2%)
出让年限:商业40年住宅70年
容积率:1≤FAR≤2.9
建筑密度:D≤30%
绿地率:GAR≥30%
起始价:870万元/亩
挂牌截止日期:8月11日10:00


现场图

宗地图
地块名称:庐山路西侧、十里大道北侧(普润路片区棚改地块)
地块位置:庐山路西侧、十里大道北侧
地块面积:46.9946亩
土地用途:城镇住宅用地
出让年限:商业40年住宅70年
容积率:1≤FAR≤1.5
建筑密度:D≤30%
绿地率:GAR≥25%
起始价:501万元/亩
挂牌截止日期:8月11日11:00


现场图
宗地图
地块名称:八里湖大道北侧、环湖西路西侧地块(八里湖南组团停车场)
地块位置:八里湖大道北侧、环湖西路西侧
地块面积:12.5609亩
土地用途:社会停车场用地
出让年限:50年
起始价:50.1万元/亩
挂牌截止日期:8月11日12:00


现场图

宗地图
地块名称:长虹大道北侧、青年路西侧地块
地块位置:长虹大道北侧、青年路西侧
地块面积:7.1848亩
土地用途:商业、城镇住宅用地(商业建筑面积所占比例34%)
出让年限:商业40年住宅70年
容积率:1≤FAR≤1.4
建筑密度:D≤28%
绿地率:GAR≥30%
起始价:308万元/亩
挂牌截止日期:8月11日13:00


现场图

宗地图
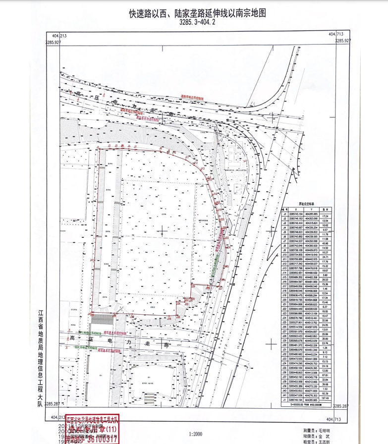
地块名称:快速路以西、陆家垄路延伸线以南(九江学院综合体育馆)地块
地块位置:快速路以西、陆家垄路延伸线以南
地块面积:90亩
土地用途:商业用地
出让年限:40年
容积率:FAR≤0.35
建筑密度:D≤25%
绿地率:GAR≥30%
起始价:90万元/亩
挂牌截止日期:8月11日14:00


现场图

宗地图
地块名称:长虹西大道北侧、启航路西侧地块
地块位置:长虹西大道北侧、启航路西侧
地块面积:14.7137亩
土地用途:城镇住宅用地
出让年限:70年
容积率:1≤FAR≤1.7
建筑密度:D≤25%
绿地率:GAR≥30%
起始价:401万元/亩
挂牌截止日期:8月11日15:00


现场图

宗地图
地块名称:前进西路以南、长江大道以西(朱家大屋)地块
地块位置:前进西路以南、长江大道以西
地块面积:88.5844亩
土地用途:城镇住宅用地
出让年限:70年
容积率:1.0≤FAR≤1.6
建筑密度:D≤30%
绿地率:GAR≥30%
起始价:358万元/亩
挂牌截止日期:8月16日10:00


现场图

宗地图
地块名称:财校以南、永宁大道以东地块
地块位置:财校以南、永宁大道以东
地块面积:84.7556亩
土地用途:城镇住宅用地
出让年限:70年
容积率:1≤FAR≤1.6
建筑密度:D≤28%
绿地率:GAR≥35%
起始价:236万元/亩
挂牌截止日期:8月18日10:00


现场图

宗地图
地块名称:沙河路以东、芦竹路以南地块
地块位置:沙河路以东、芦竹路以南
地块面积:79.3518亩
土地用途:城镇住宅用地
出让年限:70年
容积率:1≤FAR≤1.6
建筑密度:D≤28%
绿地率:GAR≥35%
起始价:230万元/亩
挂牌截止日期:8月18日11:00


现场图

宗地图
地块名称:长虹西大道以南、兴业大道以西地块
地块位置:长虹西大道以南、兴业大道以西
地块面积:195.8123亩
土地用途:商业、城镇住宅用地(商业建筑面积所占比例13%)
出让年限:商业40年、住宅70年
容积率:1.0≤FAR≤3.0
建筑密度:D≤28%
绿地率:GAR≥30%
起始价:300万元/亩
挂牌截止日期:8月18日12:00


现场图

