联泰万泰城五期(九江联泰万泰城天元)
6500元/m²
2室(1) 3室(8) 4室(4) 5室(1)
九江市八里湖新区,东至园艺路,南至十里河北路,北至文博大道
近日,江西省公共资源交易平台自然资源网上交易系统网站公示,九江有三宗土地挂牌,我们一起来看一下吧

DGA2023001地块详情
地块名称:长虹大道以北、陆家垄四支巷以东地块
地块面积:37.5491亩
土地用途:地下社会停车场用
出让年限:50年
竞价时间:8月22日 11:00

容积率(FAR):FAR=0
建筑密度(D):D=0
绿地率(GAR):GAR=0
起始价:50万元/亩

DGA2023002地块详情
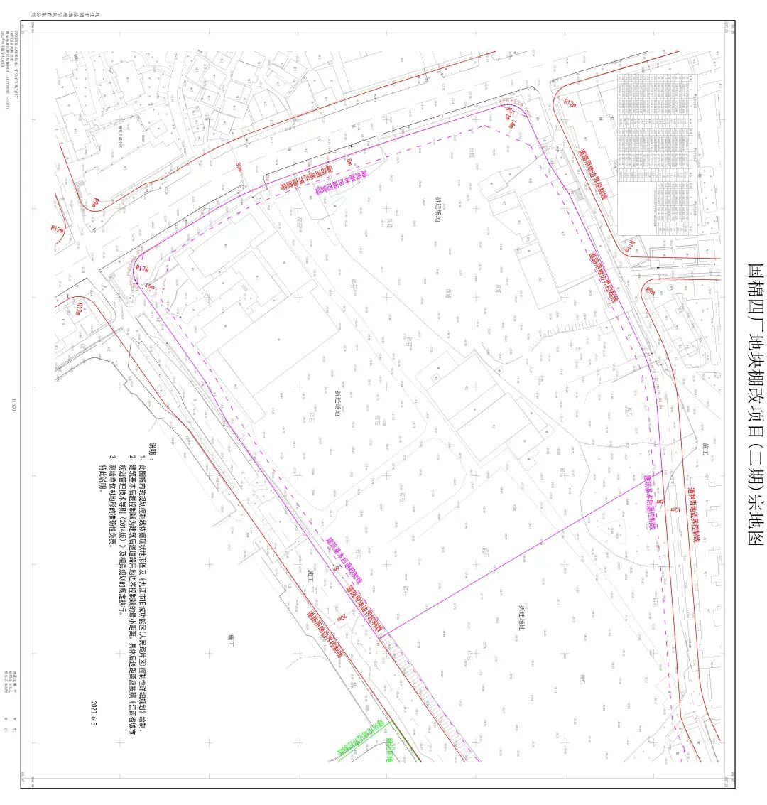
地块名称:十里大道东侧(原国棉四厂二期棚改)地块
地块四至范围:东至规划预留的学校用地、南至规划支路、西至十里大道、北至规划支路
地块面积:80.5566亩
土地用途:城镇住宅用地
出让年限:70年
竞价时间:8月22日 10:00

容积率(FAR):1.0≤FAR≤1.7
建筑密度(D):D≤25%
绿地率(GAR):GAR≥25%
起始价:430万元/亩
起拍楼面价:3794元/㎡
其他要求:需配建一座12班幼儿园(用地面积不小于10亩,建筑面积不小于4300平方米);拟建相邻住宅禁止设置“高低配”。

DGA2023004地块详情
地块名称:十里大道延伸线东侧、学府二路南侧地块
块四至范围:东至绿线和规划支路、南至学府三路、西至绿线、北至绿线
地块面积:109.2238亩
土地用途:商业、居住用地(商业建筑面积所占比例3%)
出让年限:商业40年、住宅70年
竞价时间:8月31日 10:00

容积率(FAR):1.0≤FAR≤1.4
建筑密度(D):D≤30%
绿地率(GAR):GAR≥30%
起始价:240万元/亩
起拍楼面价:2571元/㎡
其他要求:原则上建筑高度不大于24米。

